Mars has an extensive network of ancient valleys that were likely carved out by water over geologic time periods. Now a
new study
suggests that Mars had much more water than previously thought, and the key behind calculating that amount of water is in the valleys themselves.
The issue of exactly how much liquid water
Mars
had on its surface has been a hotly debated topic. There's ample evidence that there was liquid water there.
Orbiters and rovers
have provided most of that evidence. Sedimentary rock,
hydrated minerals
that only form in the presence of water, and the obvious valleys, lake basins, and deltas all show that Mars was once a world with large quantities liquid water.
[caption id="attachment_135947" align="alignnone" width="580"]
This false-color composite image was taken by the Mars rover Opportunity. It shows rocks termed "blueberries" which are geologic concretions that form in the presence of water. It also shows sedimentary rock which forms in the presence of water. Image credit: NASA/JPL/Cornell [/caption]
But to find out how much water there was in Mars' past, we have to go beyond what we can see with our orbiters and rovers and construct models. That's exactly what Northern Illinois University geography professor Wei Luo and his colleagues Xuezhi Cang & Alan D. Howard did. To do this, they relied on what previous studies have found, what we know about erosion and water cycles here on Earth, and on an innovative new algorithm that calculated the volume of Mars' valleys, and how much water would be required to excavate them.
"Our most conservative estimates of the global volume of the Martian valley networks and the cumulative amount of water needed to carve those valleys are at least 10 times greater than most previous estimates," Luo said.
Their new estimate of Martian water volume is 4,000 times the volume of the valley cavities on Mars. This means that Mars would have had an active water cycle much like Earth does. Water would have moved from the lakes and oceans through the atmosphere and over the surface via evaporation and precipitation.
"That means water must have recycled through the valley systems on Mars many times, and a large open body of water or ocean is needed to facilitate such active cycling," Luo said. "I would imagine early Mars as being similar to what we have on Earth--with an ocean, lakes, running rivers and rainfall."
[caption id="attachment_135950" align="alignnone" width="513"]
The Eberswalde delta near Holden Crater on Mars is considered the 'smoking gun' for evidence of liquid water on Mars. By NASA/JPL/Malin Space Science Systems [/caption]
However, as the authors acknowledge, the results of this study are difficult to reconcile with our understanding of the Martian climate. Mars' paleoclimate was likely never warm enough to support the kind of active
hydrologic cycle
required for their study to be accurate. "Mars is much farther way from the sun than Earth, and when the sun was younger, it was not as bright as it is today," Luo said. "So there's still a lot to work out in trying to reconcile the evidence for more water."
As the authors write in
their paper
, "Without an ocean-sized open body of water, it would be hard to imagine the high rate of water cycling suggested by our new estimates." So where does that leave us?
Some of the largest features on Mars, like the huge
Valles Marineris
, might have formed as a tectonic crack, which was then further enlarged by erosion. For other valleys, a lot of other causes have been proposed for their formation, including glaciation, and erosion by CO2, lava, and even wind.
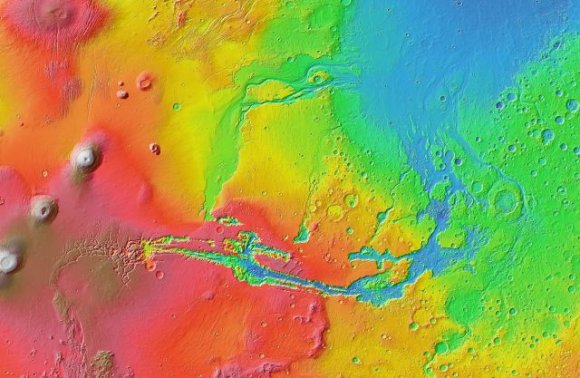
[caption id="attachment_135952" align="alignnone" width="580"]
This topographic map of the Valles Marineris region on Mars shows clearly visible outflow channels. This is image is from NASA's Mars Global Surveyor. By NASA / JPL-Caltech / Arizona State University[/caption]
It's clear that at some point in the past, Mars had liquid water. How much water exactly is a hotly-debated topic, and this study won't end that debate. But this study used much higher-resolution techniques, perfected in terrestrial uses, to arrive at its estimates. This study was also conducted globally on Mars, rather than by sampling individual locations. It will affect the debate in some way.
As they say in their paper, "There is no ground truth to assess the real accuracy of our estimation." There's really no way for scientists to reach a conclusion yet about the size of Martian oceans in the past, and on how active the hydrological cycle might have been on that planet.
For now, we can let the debate continue.
Universe Today


